14643 Whitfield, Pacific Palisades, CA 90272
Bedrooms: 0
Bathrooms: 0
Area: 0 SqFt.
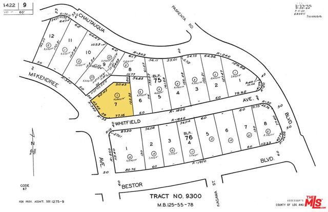
Rare 11,000 square foot mostly flat and elevated corner lot near the Palisades Village. The property is cleared and ready for brand new construction of a large 3-level new home - upwards of 9,000+ square feet under current building codes (not in the coastal commission zone). 14643 Whitfield Ave. sits above the Alphabet Streets and a new construction home will have breathtaking panoramic ocean views and a spacious backyard on its larger-sized lot. Additionally, this corner, coupled with a short road in the back, creates flexibility in designing the exact location of a garage. The property resides just moments from the Palisades Village known for boutique shopping and award-winning restaurants; top-rated local schools, scenic hiking/mountain biking trails, bike paths, and world-class beaches.Adding to this unique offering, this property was last on the market 65 years ago. This is not simply another Pacific Palisades land sale; it is a chance to claim a piece of Palisades history that is nestled within the coveted Chautauqua Heights subdivision, celebrated for its expansive lots and iconic ocean views. The previous/original home was the 53rd house ever built in the Palisades back in 1924, a residence cherished for generations. Its story speaks to permanence, heritage, and the timeless allure of this coastal enclave. And now it's ready for the next chapter and will be part of the resurgence of the Pacific Palisades.EPA (Phase 1) remediation & debris removal (Phase 2) are both complete. The foundation has also been removed to prepare for new construction. New home builds are well underway in the neighborhood, with the Caruso Village set to reopen in 2026. Some schools are already back and some businesses are reopened, and others are slated to reopen. Once complete, the Pacific Palisades will be more beautiful than ever before as it's still one of the most highly desired coastal enclaves in all of California.
CA DRE #01870580
6965 El Camino Real 105-690, Carlsbad CA 92009
877.692.8427



This information is deemed reliable but not guaranteed. You should rely on this information only to decide whether or not to further investigate a particular property. BEFORE MAKING ANY OTHER DECISION, YOU SHOULD PERSONALLY INVESTIGATE THE FACTS (e.g. square footage and lot size) with the assistance of an appropriate professional. You may use this information only to identify properties you may be interested in investigating further. All uses except for personal, non-commercial use in accordance with the foregoing purpose are prohibited. Redistribution or copying of this information, any photographs or video tours is strictly prohibited. This information is derived from the Internet Data Exchange (IDX) service provided by Sandicor®. Displayed property listings may be held by a brokerage firm other than the broker and/or agent responsible for this display. The information and any photographs and video tours and the compilation from which they are derived is protected by copyright. Compilation © 2017 Sandicor®, Inc.
© Copyright 2025 Lincoln Realty Group. Powered by 
One fine body…
