22494 Mojave River, Cedarpines Park, CA 92322
Bedrooms: 0
Bathrooms: 0
Area: 0 SqFt.
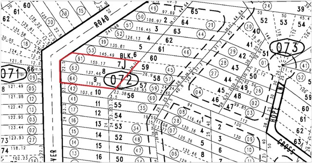
Price Reduced! Now only $14K for almost 10,000 square feet of ground! Here's a little slice of "off the grid" land that's easy to get to, but feels like you're in the middle of nowhere. This is actually 3 tax parcels side by side, totaling 9,675 square feet. There is a bluff at the road, but once you're atop that, the slope is more gentle and could be a great building spot. There is water in the road a ways up the street, as there used to be a home there, but the Buyer should check on the water situation with the Cedar Pines Park Mutual Water Company. There is a moratorium on new hookups to their system, which will likely preclude any new hookups there over the next few years. Utilities are nearby, but the buyer should check with the appropriate suppliers to inquire about possible hookups. This is for the person who really wants to get away from it all. It's a beautiful spot, and if all you're looking for is a spot to get away from it all occasionally, this might do nicely. Use Google Maps to locate these coordinates: Long: 34.260431 / Lat: -117.315873. That will put you at the NW corner of the property on Mojave River Road.
CA DRE #01870580
6965 El Camino Real 105-690, Carlsbad CA 92009
877.692.8427



This information is deemed reliable but not guaranteed. You should rely on this information only to decide whether or not to further investigate a particular property. BEFORE MAKING ANY OTHER DECISION, YOU SHOULD PERSONALLY INVESTIGATE THE FACTS (e.g. square footage and lot size) with the assistance of an appropriate professional. You may use this information only to identify properties you may be interested in investigating further. All uses except for personal, non-commercial use in accordance with the foregoing purpose are prohibited. Redistribution or copying of this information, any photographs or video tours is strictly prohibited. This information is derived from the Internet Data Exchange (IDX) service provided by Sandicor®. Displayed property listings may be held by a brokerage firm other than the broker and/or agent responsible for this display. The information and any photographs and video tours and the compilation from which they are derived is protected by copyright. Compilation © 2017 Sandicor®, Inc.
© Copyright 2026 Lincoln Realty Group. Powered by 
One fine body…
