47229238 Quarry, Apple Valley, CA 92307
Bedrooms: 0
Bathrooms: 0
Area: 0 SqFt.
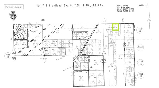
***Come VIEW and MAKE an OFFER TODAY! Affordable LAND OPPORTUNITY located in expanding Apple Valley CA. The nearly 6 ACRE parcel is positioned on the SE corner of Quarry Rd and Harris Ln with paved frontage along the northern boundary, and is just south of the Cemex Railroad Tracks. Plus the site is adjacent to power lines and sewer lines. Zoned RL - Rural Living the parcel allows for many different uses including residential, industrial, commercial, and agricultural. The property is right in the path of growth situated less than 2 miles away from where the BRIGHTLINE WEST High Speed Train Station will be breaking ground soon off the Dale Evans Pkwy and Interstate-15 exit. In addition, the area is quickly becoming an essential distribution hub with existing distribution centers in operation and new facilities currently under construction. The parcel is ideal for anyone needing extra space for their own personal ranch, and would be perfect for any truck drivers that need to park their trailers close to where they might be picking up loads from nearby distribution centers. As an added bonus the parcel previously had a structure on site and a WELL was drilled at one time that may be salvageable. With so much potential and growth coming to the area, this is a MUST SEE OPPORTUNITY before its too late.***
CA DRE #01870580
6965 El Camino Real 105-690, Carlsbad CA 92009
877.692.8427



This information is deemed reliable but not guaranteed. You should rely on this information only to decide whether or not to further investigate a particular property. BEFORE MAKING ANY OTHER DECISION, YOU SHOULD PERSONALLY INVESTIGATE THE FACTS (e.g. square footage and lot size) with the assistance of an appropriate professional. You may use this information only to identify properties you may be interested in investigating further. All uses except for personal, non-commercial use in accordance with the foregoing purpose are prohibited. Redistribution or copying of this information, any photographs or video tours is strictly prohibited. This information is derived from the Internet Data Exchange (IDX) service provided by Sandicor®. Displayed property listings may be held by a brokerage firm other than the broker and/or agent responsible for this display. The information and any photographs and video tours and the compilation from which they are derived is protected by copyright. Compilation © 2017 Sandicor®, Inc.
© Copyright 2025 Lincoln Realty Group. Powered by 
One fine body…
